Ir para o conteúdo

Parte do terreno do IFC de Brusque deve ser vendida para construção da nova Beira Rio

Processo travou em instância superior e IFC de Brusque retomou projeto de alienação do espaço

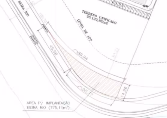
Uma parte do terreno do Instituto Federal Catarinense (IFC) de Brusque deve ser vendida para construção da nova avenida Beira Rio, trecho entre os bairros Jardim Maluche e Dom Joaquim. O espaço se trata de uma área de 775,11 metros quadrados do gramado da instituição, próximo à curva.



Por ser território federal, a Prefeitura de Brusque precisou encaminhar uma solicitação para a Secretaria do Patrimônio da União (SPU) para verificar a possibilidade de desapropriação da parte do terreno para a realização das obras na região. A resposta da pasta foi de que a decisão caberia ao próprio IFC.

Foi iniciado então um processo interno na instituição. O IFC de Brusque deferiu o projeto, que seguiu para o parecer da Reitoria do IFC em Blumenau, até chegar ao Conselho Superior (Consuper) da instituição. No entanto, antes da última fase, o processo teve que passar pelo procurador-chefe da Procuradoria Federal do IFC.

O procurador entendeu, porém, que era necessário uma carta presidencial. A medida tem como objetivo buscar uma autorização assinada pelo presidente da República, Jair Bolsonaro (PL), certificando que o terreno poderia ser vendido. Com o parecer do procurador, o Consuper não aprovou o pedido de alienação.

Agora, uma outra alternativa será seguida para que a venda do espaço seja autorizada. Ao invés de a prefeitura fazer a solicitação à Secretaria do Patrimônio da União, desta vez o encaminhamento será feito pelo próprio IFC. Por se tratar da alienação do terreno, que é a venda de um espaço público, futuramente a prefeitura irá ressarcir os valores da área alienada.

No dia 14 de junho, o prefeito Ari Vequi anunciou que foi aberta licitação para início das obras da nova Beira Rio entre os bairros Jardim Maluche e Rio Branco, no valor de R$ 4,9 milhões. Trata-se da parte do serviço de terraplanagem e canal extravasor. O projeto prevê que a nova Beira Rio siga até o bairro Dom Joaquim.

Parte em vermelho no mapa é o trecho destinado à alienação. Foto: Reprodução

Siga-nos no Instagram Entre no canal do Telegram Inscreva-se no canal do YouTube